Place à bâtir pour une villa de 500-600 m2 ou bien immeuble residentiel de 2 à 3 unités avec sous sol.
Excellente situation.
Les principaux atouts du quartier :
Emplacement stratégique et connectivité ...
Place à bâtir pour une villa de 500-600 m2 ou bien immeuble residentiel de 2 à 3 unités avec sous sol. Excellente situation. Les principaux atouts du quartier : Emplacement stratégique et connectivité : Situé à Cessange, (Quartier Kohlenberg) offre un accès direct aux grands axes autoroutiers, et transports facilitant l'accès à la gare centrale. Proche de toutes commodités: Pôle d'affaires et de commerce (Cloche d'Or) : Véritable moteur économique, la zone accueille des sièges sociaux d'entreprises renommées (PwC, Deloitte) et le plus grand centre commercial du Luxembourg. Cadre de vie et verdure : Nombreux espaces verts aux alentours offrant des espaces de détente, de biodiversité et des infrastructures de loisirs. Infrastructures modernes et éducation : Le quartier propose des écoles, des crèches, le lycée français Vauban, ainsi que des infrastructures sportives à proximité (Kockelscheuer, Stade de Luxembourg). Frais d'agence de 2%+ TVA à charge du vendeur. Pour plus d'informations , hésitez pas à nous contacter par mail info@mgi.lu ou par téléphone +352621375725.
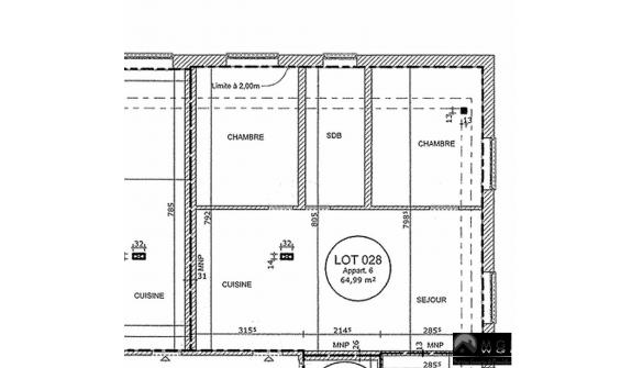
Appartement 65m² avec 2 chambres - 2 Toodlermillen - L-9181 Tadler ( Esch-sur-sure)
À vendre :
Un appartement 2 chambres d'une surface habitable de 65m², situé au 1er étage d'une résidence nichée au c ...
Appartement 65m² avec 2 chambres - 2 Toodlermillen - L-9181 Tadler ( Esch-sur-sure) À vendre : Un appartement 2 chambres d'une surface habitable de 65m², situé au 1er étage d'une résidence nichée au cœur de la nature des Ardennes luxembourgeoises, dans un endroit idyllique de la Vallée de la Sûre, dans le parc naturel de la Haute-Sûre, un cadre reposant où vous pourrez profiter du superbe paysage tout au long de la rivière (parcours pédestre - www.visit-eislek.lu/fr/tour/eislek-pad-tadler-1). Avant d'être transformée en immeuble à appartements en 2005, la résidence était une pension de famille et une auberge-restaurant. Elle se situe au 2 Toodlermillen à Tadler (L-9181), à 150 mètres de la ferme biologique « Toodlermillen » (élevage de bovins des Highlands écossais) et de la station d'équitation (chevaux islandais) existante depuis des générations (www.biog.lu/fr/membres/keiser-amand-toodlermillen). Composition et description de l'appartement : _ 1 grand séjour avec cuisine équipée et l'espace pour y installer salle à manger et salon (y inclus une petite penderie/vestiaire) ; la cuisine équipée est basique, classique et en très bon état : 4 meubles bas, 1 tiroir à couverts, 5 meubles hauts, évier simple/égouttoir en inox, pas de lave-vaisselle, plaque de cuisson électrique avec 4 taques, hotte aspirante, four électrique à chaleur pulsée et frigo (145 litres) encastrés ; dimensions du séjour : 7.77m × 3.85m ; 1 salle de douche avec cabine de douche, WC et lavabo avec l'espace pour y installer plusieurs meubles de rangement ; dimensions de la salle de douche : 3.89m × 1.68m ; 2 chambres (séparées par la salle de douche) ; dimensions des chambres : 3.89m × 3.10m et 3.89m × 2.99m. La vue des fenêtres donne sur les pâtures avec les bovins des Highlands écossais et les chevaux islandais. Il y a 4 fenêtres au total, 2 sont orientées au Sud (1 dans la chambre de 3.89m × 2.99m + 1 dans la salle de douche), et 2 sont orientées à l'Ouest (1 dans la chambre de 3.89m × 3.10m + 1 dans le grand séjour) où le soleil donne en fin d'après-midi et à son coucher. Chauffage central au mazout (collectif) avec un radiateur dans chaque pièce de l'appartement (2 radiateurs dans le grand séjour) pour un confort thermique assuré (l'appartement n'est jamais froid en hiver, sans devoir pour cela régler très haut le thermostat des radiateurs). Les charges mensuelles globales (tout compris) sont d'environ 250 euros. L'appartement se complète par une cave privative (box / Lot 011 sur le plan) d'une surface utile de 11,14m², et d'un emplacement de parking extérieur couvert d'une surface utile de 11,34m² pour une voiture (emplacement numéro 4 / Lot 004 sur le plan) mais il y a suffisamment d'espace pour garer des véhicules supplémentaires en dehors des emplacements réservés. L'appartement se complète aussi par un espace commun, dont une grande buanderie commune au sous-sol, ainsi que différentes autres zones communes, principalement au sous-sol, et aussi un grand balcon couvert à l'entrée principale du bâtiment (avec interphone permettant d'identifier un visiteur et de déverrouiller la porte à distance depuis chaque appartement). La vue de ce balcon commun, orienté au Nord, donne sur la Sûre en contrebas et le pont qui l'enjambe, et on y trouve une table et des chaises qui permettent de se détendre et de profiter de la vue, et aussi de rencontrer les voisins de la résidence. La résidence a été raccordée à la fibre optique en 2025. Cependant, il est conseillé de contacter directement les prestataires pour connaître la disponibilité des offres "Fibre" (Go)) fibre de Tango, POP Internet de POST, ou Eltrona GiGA). Transports publics gratuits (www.mobiliteit.lu) : À 500 m à pied (10 min) ou 1,4 km en voiture (2 min) de l'arrêt de bus « Kierfecht », desservi par la ligne de bus K45 du RGTR (Tadler - Bourscheid - Buerden - Ettelbruck - Diekirch). À 6 km (6 min en voiture) de la gare ferroviaire de Goebelsmühle, avec 19 trains quotidiens sur la ligne 10 - Ligne du Nord - reliant Luxembourg-ville à Troisvierges et à la frontière belge direction Gouvy. Temps de parcours d'environ 45-55 minutes jusqu'à Luxembourg-ville, avec une fréquence régulière, souvent un train par heure, et plus fréquemment en heure de pointe. Enseignement : À 8 km (10 min en voiture) du tout nouveau campus scolaire et sportif à Eschdorf (www.esch-sur-sure.lu/la-commune/enseignement/nouveau-campus-scolaire-et-sportif-a-eschdorf). Commerces et loisirs : À 6 km de Heiderscheid (commerces Buttik vum Séi, centre médical et pharmacie Stauséiapdikt). À 15 km de Pommerloch (Knauf Shopping Center Pommerloch : Delhaize, Colruyt, Lidl, Aldi et bien plus), et à 16 km d'Ettelbruck (Cactus). À 7 km de Esch-sur-Sûre, et à 18 km de Wiltz. Prix 385.000€. Pour plus d'informations, hésitez pas à contacter l'agence par email info@mgi.lu ou mobile +352621375725 .
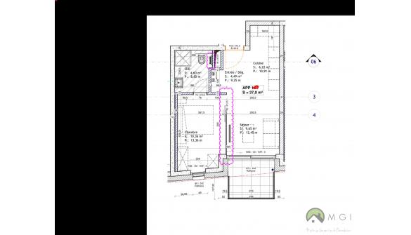
Opportunité à saisir à Luxembourg-Cessange.
Charmant appartement bien conçu de 37 m² avec 1 chambre. Situé au 1er étage d'une résidence moderne construite en 2021.
Proche de toutes les commodités.
Id ...
Opportunité à saisir à Luxembourg-Cessange. Charmant appartement bien conçu de 37 m² avec 1 chambre. Situé au 1er étage d'une résidence moderne construite en 2021. Proche de toutes les commodités. Idéal pour les primo-accédants ou comme investissement locatif. Actuellement, le bien est loué 1 800 € par mois, offrant un revenu locatif immédiat. Les frais d'agence sont pris en charge par le vendeur. Pour toutes informations complémentaires, n'hésitez pas à contacter l'agence par e-mail à l'adresse info@mgi.lu ou par téléphone au +352621375725.
Chambres : 6 Salle de bain : 1 Parking : 5 Surface : 250.00 m²
820.000 €
Maison individuelle à vendre à Hostert ( commune de Rambrouch) de 250 m2.
Ideal pour famille et/ou usage professionnel.
La propriété offre de beaux volumes et un grand potentiel d'aménagement.
La dem ...
Maison individuelle à vendre à Hostert ( commune de Rambrouch) de 250 m2. Ideal pour famille et/ou usage professionnel. La propriété offre de beaux volumes et un grand potentiel d'aménagement. La demeure était utilisée comme crèche. Terrain: 11 ares La maison est sur 3 niveaux: RDC: hall, living +/-30 m2 avec FO, 3 chambres, cuisine +/-20m2 avec véranda de 25m2, 1sdb, wc séparée. Etage 1 : 1 SDD, 2 à 3 chambres selon la volonté du futur acquéreur. Ss-sol: grand garage 2 V, 1 atelier, hobby room, buanderie/chaufferie, 1 cellier, 1 cave à vin, 1 grande cave. Un espace pensé pour sa flexibilité grâce au caractère hybride des lieux. Frais d'agence à charge du vendeur ( 3%+TVA) Disponible de suite. Prix à discuter. Pour toutes visites, veuillez contacter l'agence au +352621375725 ou par mail info@mgi.lu.